Skip to main content Skip to footer

NOTICE OF PUBLIC HEARING FOR PROPOSED ZONING AMENDMENT (25-05) BYLAW NO. 4615, 2025

TAKE NOTICE that a Public Hearing will be held at 9:00 a.m., in Council Chambers, City Hall, 10105 - 12A Street, Dawson Creek, on Tuesday, October 14, 2025, with respect to the proposed Zoning Amendment (25-05) Bylaw No. 4615, 2025.

Members of the public may make representations respecting matters contained in the proposed bylaw at that time or may submit written comments by email or by fax to 250-782-3203 for inclusion on the Public Hearing agenda by 12 pm (noon) on Friday, October 10, 2025.

Members of the public are also invited to attend the Public Hearing to ask questions about the Zoning Amendment, or can view the Meeting live stream on the City of Dawson Creek Facebook page

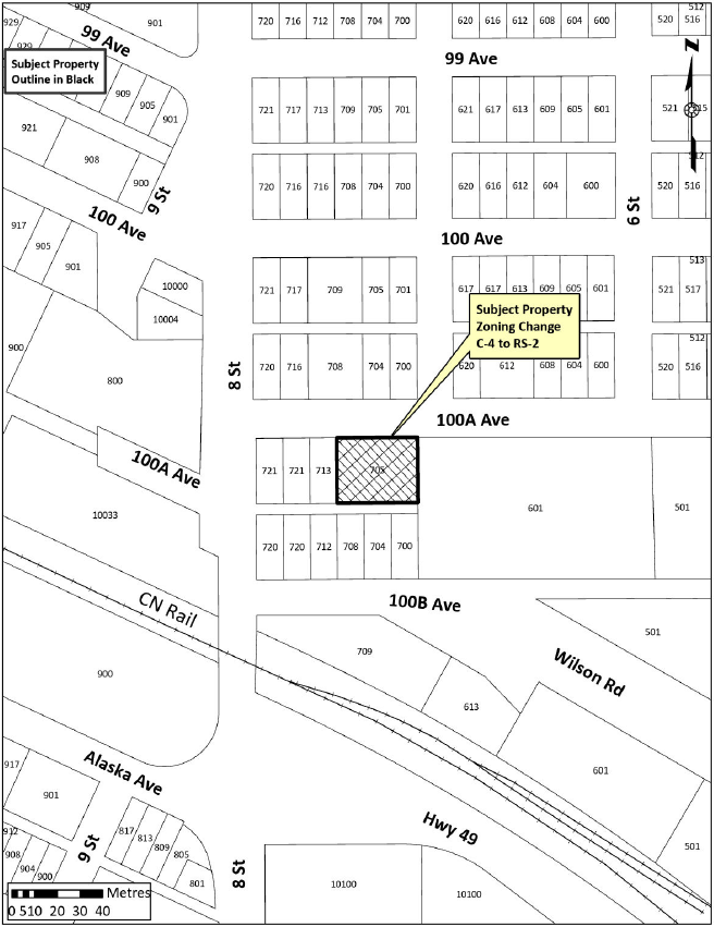
The purpose of the Zoning Amendment is to amend the zoning for the subject area shown as crosshatched and outlined in heavy black on the sketch herein from ‘C-4 Highway Commercial’ to ‘RS-2 Single Detached and Duplex’, located at 705 100A Avenue. 

A copy of the proposed Zoning Amendment (25-05) Bylaw No. 4615, 2025, may be inspected in the Planning Department at City Hall, 10105 - 12A Street, Dawson Creek, BC, October 3-14, 2025, between the hours of 8:30 am and 4:30 pm, Monday to Friday, excluding statutory holidays. Additionally, the bylaw may be viewed online via the City of Dawson Creek Website beginning Thursday, October 9th, 2025.

Questions regarding the zoning amendment may be directed to the City Planner at 250-784-3601 or by email.

Tab Young,

Corporate Officer

Map

Public Hearing Brochure

This website uses cookies to enhance usability and provide you with a more personal experience. By using this website, you agree to our use of cookies as explained in our Privacy Policy.