PUBLIC NOTICE - Temporary Use Permit 26-01
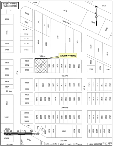
TAKE NOTICE that Council will be considering an application for Temporary Use Permit 26-01 to allow for a fitness centre in the existing building located at 1636 99 Avenue, Dawson Creek, BC, for a period of up to 3 years. Council will consider this application at the Council Meeting scheduled on Monday, February 23, 2026, beginning at 9:00 am, held in Council Chambers, City Hall, 10105 12A Street. To view the livestream, please visit the City of Dawson Creek Facebook page at 9:00 am.

Any member of the public who feels they may be affected by the proposed Temporary Use Permit 26-01 may submit comments by email, including their name and address or in writing to City Hall no later than noon on February 20, 2026. A copy of the proposed TUP 26-01 may be inspected in the Development Services Department at City Hall, 10105 - 12A Street, Dawson Creek, BC, February 10 to February 23, 2025, between the hours of 8:30 am and 4:30 pm, Monday to Friday, except statutory holidays.
Tab Young
Corporate Officer
Contact Us
The City of Dawson Creek
10105 - 12A Street
City of Dawson Creek, BC V1G 3V7
Telephone: 250-784-3600