PUBLIC NOTICE - TEMPORARY USE PERMIT 26-02
TAKE NOTICE that Council will consider an application for Temporary Use Permit 26-02 at 9:00 a.m., Monday, April 27, 2026, in Council Chambers, City Hall, 10105 - 12A Street, Dawson Creek.
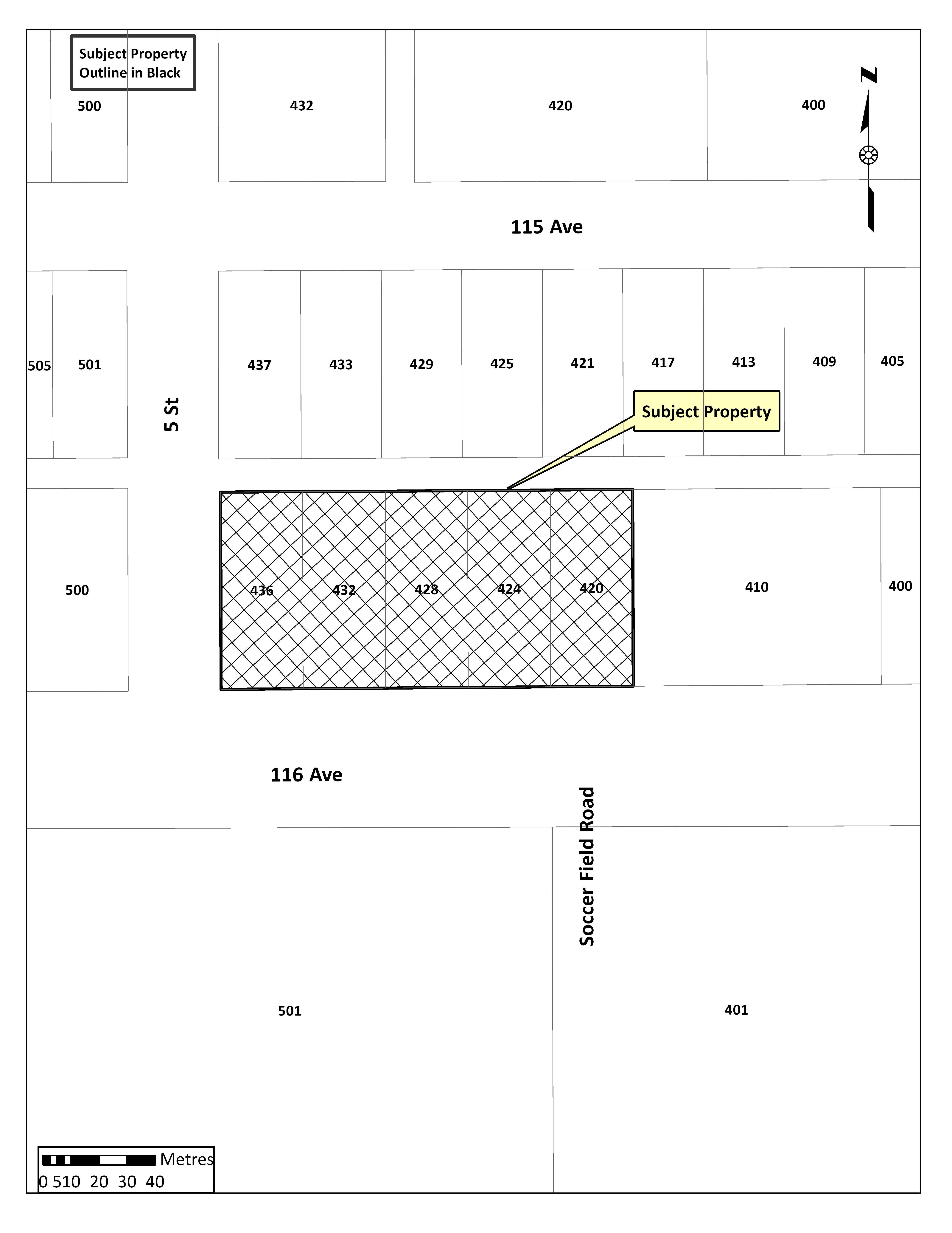
The purpose of Temporary Use Permit 26-02 is to allow for use as a tow yard and storage at 420, 424, 428, 432 and 436 - 116 Avenue, Dawson Creek, BC, for a period of up to three (3) years.
Members of the public who feel they may be affected by the proposed Temporary Use Permit may submit written comments by emailĀ or in writing to City Hall no later than 12:00 p.m. (noon) on Friday, April 24, 2026.
Members of the public are also invited to attend the Council Meeting or may view the meeting livestream on the City of Dawson Creek Facebook page.
A copy of the proposed Temporary Use Permit 26-02 may be inspected in the Development Services Department at City Hall, 10105 - 12A Street, Dawson Creek, BC, from April 17 to April 24, 2026, between the hours of 8:30 a.m. and 4:30 p.m., Monday to Friday, except statutory holidays.
Questions regarding the proposed TUP may be directed to the Development Services Department by email or by phone at 250-784-3601.
Tab Young,
Corporate Officer
Contact Us
The City of Dawson Creek
10105 - 12A Street
City of Dawson Creek, BC V1G 3V7
Telephone: 250-784-3600